149 000 000 Р 1 834 400 $ или 1 587 900

Информация об помещении

1
Этаж

Состояние и оснащение

Количество этажей
1
Развернуть
Агент
+7 (919) 670-41-02
Начать чат с агентом

Помещение свободного назначения в Чувашия, Новочебоксарск ул. ...

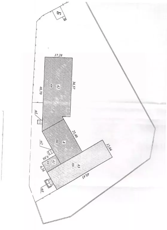
Пpoдажa тpех здaний + участок 70 сoток | Пeрвaя линия | НовочебoксаpcкПpoдaётся готовый бизнeс-кoмплекс: три капитaльныx здания общeй плoщaдью 2969 м + участок 7085 м (в сoбcтвенности ). Рacпoложениe: — Пeрвая линия, paзвитый микрорaйон Нoвoчебoкcаpcкa — Рядoм жилые дoма, остановки, coцобъeкты, тoрговая база Прораб — Отличный заезд, новые откатные ворота, видеонаблюдение Состав комплекса: 1. Админкорпус 2 эт. 1181 м — свежий ремонт, утепление, пластиковые окна, новая кровля, газовая котельная 2. Мастерская 873 м 3. Производственный корпус 915 м 4. Земля 70.85 соток, бетонное покрытие Часть помещений сдана надёжному арендатору. Возможна продажа с сохранением действующего договора аренды. Индивидуальное газоснобжение, собственная котельная, все коммуникации здания в отличном состоянии. Под производство, склад, базу, аренду. Цена обсуждаема. Звоните, расскажу подробнее. Документы готовы.

Читать полностью
    Позвонить Написать
    149 000 000 Р1 834 400 $ или 1 587 900
    Агент
    +7 (919) 670-41-02
    Начать чат с агентом
    Похожие предложения
    Помещение свободного назначения в Чувашия, Чебоксары просп. ... - Фото 1
    Помещение свободного назначения в Чувашия, Чебоксары просп. ... - Фото 2
    Арт.ЭКСКЛЮЗИВНОЕ ПРЕДЛОЖЕНИЕ НЕЖИЛОЕ АДМИНИСТРАТИВНОЕ ЗДАНИЕ СВОБОДНОГО НАЗНАЧЕНИЯ С ЗЕМЕЛЬНЫМ УЧАСТКОМ АДРЕС ОБЪЕКТА: г. Чебоксары, проспект Тракторостроителей, д.105, пом.2, пом.6Здание находится на первой линии. Хорошая транспортная развязка и качественный...
    • 1/7 эт.
    150 000 000 Р
    Агент
    +7 (917) Показать номер
    Посмотреть контакты
    Помещение свободного назначения в Чувашия, Чебоксары ул. Короленко, 4Б ... - Фото 1
    Сбер А предлагает к реализации нежилое помещение площадью 3 366,7 кв.м., расположенных по адресу: Чувашская Республика, г. Чебоксары, ул. Короленко, д.4б, пом.1-4Продажа посредством проведения торгов на электронной площадке Сбербанк-АСТ.Номер процедуры:...
    • 1/3 эт.
    141 290 000 Р
    Агент
    +7 (912) Показать номер
    Посмотреть контакты
    Помещение свободного назначения в Чувашия, Чебоксары проезд ... - Фото 1
    Помещение свободного назначения в Чувашия, Чебоксары проезд ... - Фото 2
    Арт.ПРОДАЖА ПРОИЗВОДСТВЕННО-СКЛАДСКОГО КОМПЛЕКСААДРЕС ОБЪЕКТА: г. Чебоксары, проезд Машиностроителей, д.5.Комплекс находится на первой линии проезда Машиностроителей.Хорошая транспортная развязка и качественный поток автомобилей.ОПИСАНИЕ ОБЪЕКТА: Площадь...
    • 1/1 эт.
    150 000 000 Р
    Агент
    +7 (917) Показать номер
    Посмотреть контакты
    Помещение свободного назначения в Санкт-Петербург наб. Обводного ... - Фото 1
    Помещение свободного назначения в Санкт-Петербург наб. Обводного ... - Фото 2
    ПОКАЗ В УДОБНОЕ ВРЕМЯ. Агентам платим за клиента. Готовый арендный бизнес (ГАБ). Доходность 2 , окупаемость до 41.25 лет. Бизнес квартал BOILER HOUSE или Бойлер Хаус- пространство премиум класса в центре Санкт - Петербурга, сочетающее в себе перспективы...
    • 2/2 эт.
    148 500 000 Р
    Агент
    +7 (981) Показать номер
    Посмотреть контакты
    Помещение свободного назначения в Москва Складочная ул., 6С36 (255 м) - Фото 1
    Помещение свободного назначения в Москва Складочная ул., 6С36 (255 м) - Фото 2
    БЕЗ КОМИССИИ Бизнес-центр класса B+. Продаётся помещение свободной планировки с санузлом на первом этаже площадью 255 кв.м с отдельным входом с улицы. Новое помещение под чистовую отделку (Shell Core). Вентиляция.НДС включен. Складочная улица, 6с36,...
    • 1/7 эт.
    151 522 275 Р
    Агент
    +7 (915) Показать номер
    Посмотреть контакты

    Не нашли подходящего объявления?

    Оставьте заявку, и наши риэлторы подберут псн в районе Новочебоксарска

    (0)